Dans le secteur Falaise – Argentan, la formation du Faciès de bordure des écueils regroupe des calcaires d’âges différents, du Bajocien supérieur au Bathonien moyen, toujours localisés au contact des paléoreliefs paléozoïques. Ces calcaires bioclastiques présentent un faciès caractéristique témoignant d’un milieu de sédimentation peu profond et très agité. |
 |
Les calcaires jurassiques du Faciès de bordure des écueils affleurent dans le secteur Est de la carrière de Perrières, au sommet d’un ancien petit front de taille où ils recouvrent en discordance les quartzites du Grès armoricain. |
 |
Les calcaires, très fracturés, comblent les irrégularités de la surface d’érosion post-varisque. Ces calcaires se sont déposés en milieu agité en bordure des écueils formés par les paléoreliefs de Grès armoricain. |
 |
Proches de la surface, les calcaires du Faciès de bordure des écueils présentent une intense fracturation liée à la gélifraction lors de la dernière période glaciaire.
|
 |
Dans la découverte de la carrière de Perrières, au-dessus du Grès armoricain arasé, les calcaires se présentent en bancs massifs subhorizontaux d’une épaisseur maximale de 3m environ. Ils sont surmontés par une couche de lœss d’un mètre d’épaisseur. Sur la droite, le petit relief de quartzite n’est surmonté que par les bancs supérieurs de calcaire, plus récents ; ce relief formait un pointement rocheux qui n’a été recouvert que plus tardivement par la sédimentation calcaire.
A survoler |
 |
Extrait de la carte géologique à 1/50 000, feuille Mézidon (BRGM - Orléans)
Sur le pourtour du paléorelief de Perrières, les calcaires du Faciès de bordure des écueils (jEc) passent latéralement au Calcaire de Rouvres (j3Ro), formation équivalente au Calcaire de Creully de la région de Caen - Bessin. Plus au Nord, les calcaires de la bordure du paléorelief de Sassy passent latéralement au Calcaire de Bon-Mesnil d’âge plus récent.
QUATERNAIRE
Œ Loess - Weichsélien
MESOZOIQUE Jurassique moyen (Bathonien)
j3M : Calcaire de Bon-Mesnil
j3Ro : Calcaire de Rouvres
j3Ca : Calcaire de Caen
jEc : Faciès de bordure des écueils
PALEOZOIQUE Ordovicien
o2 Grès armoricain (Arénig)
A survoler |
 |
Calcaire du Facies de bordure des écueils
Quelques fragments de coquilles et de tests d’échinodermes sont noyés dans une mouture de petits bioclastes d’une taille de 1 à 2 mm en moyenne. Sur une cassure fraîche, des petites facettes brillantes révèlent la présence de fragments d’échinodermes, monocristallins à cassure spathique.
Echantillon prélevé en « pierre volante » dans un champ à proximité immédiate de la carrière (secteur nord).
A survoler |
 |
Vue rapprochée d’une cassure fraîche
En dehors des bioclastes d’origine très variée, les calcaires de bordure des écueils renferment aussi des oncoïdes de petite taille (2 à 3 mm), non identifiables à cette échelle d’observation. Ces oncoïdes sont constitués de petits fragments bioclastiques encroûtés par des algues microscopiques. La présence de ces oncoïdes témoigne d’un milieu de sédimentation agité où les fragments bioclastiques sont sans cesse remis en mouvement. |
 |
Ce bioclaste de grande taille est probablement un fragment de coquille d’un brachiopode à larges côtes.
Le Faciès des écueils a fourni des fossiles parmi lesquels figurent des brachiopodes de grande taille (Epithyris maxillata). |
 |
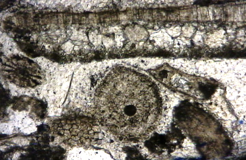
Lame mince vue au microscope : Biosparite à débris d’échinodermes
On peut identifier des fragments d’échinodermes
- au centre de la photo : une entroque (article d’encrine) en coupe transversale avec son large canal axial,
- à gauche : une section transversale d’un radiole d’oursin.
Le grand fragment allongé présente une couche prismatique et une couche à grands cristaux de calcite recristallisée. Il pourrait s’agir d’un débris de coquille de brachiopode ou de lamellibranche.
Les bioclastes sont inclus dans un ciment microsparitique, à cristaux limpides de calcite. |
 |
Bryozoaire
Cette colonie est constituée de zooéties, petites loges d'habitation à parois de calcite.
On reconnaît des figures de
polarité dans les loges :
-
La micrite sombre correspond à un dépôt précoce de boue micritique à la base des loges,
- La calcite sparitique transparente a rempli secondairement l'espace vacant du dessus. |
 |
Dans cette lame mince, on peut observer :
- deux sections d’échinodermes à l’aspect réticulé ;
- un fragment de coquille pouvant provenir d’un brachiopode ; sa structure fibreuse bordée est oblique par rapport à la bordure, micritisée, Sa forme évoque une épine de coquille de brachiopode.
De nombreux brachiopodes vivaient fixés sur le fond d’une mer peu profonde qui bordait les écueils paléozoïques. |