Microfaciès du Calcaire de Blainville
Bathonien moyen (166Ma) - Carrière de Bon-Mesnil - Aubry-en-Exmes (61)

 

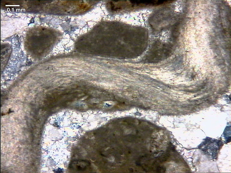
Calcaire bioclastique grossier à ciment micritique

- au centre, un entroque au canal axial bien reconnaissable,

- en bas, à droite, un fragment de bryozoaire,

- à droite et en haut à gauche, un bryozoaire encroûtant les bioclastes précédents.

Calcaire bioclastique et oolithique aux éléments figurés hétérométriques et légèrement encroûtés par de la micrite brune.

Ciment sparitique.

 Un entroque à gauche et un reste de bryozaire à droite, dans un ciment sparitique
Fragment de test de lamellibranche
Fragment de test de lamellibranche dans de la sparite
Oolithes, débris de bryozoaire à droite, et d'entroque en haut à gauche

Microfaciès du Calcaire de Blainville
Bathonien moyen (166Ma) - Carrière de Bon-Mesnil - Aubry-en-Exmes (61)